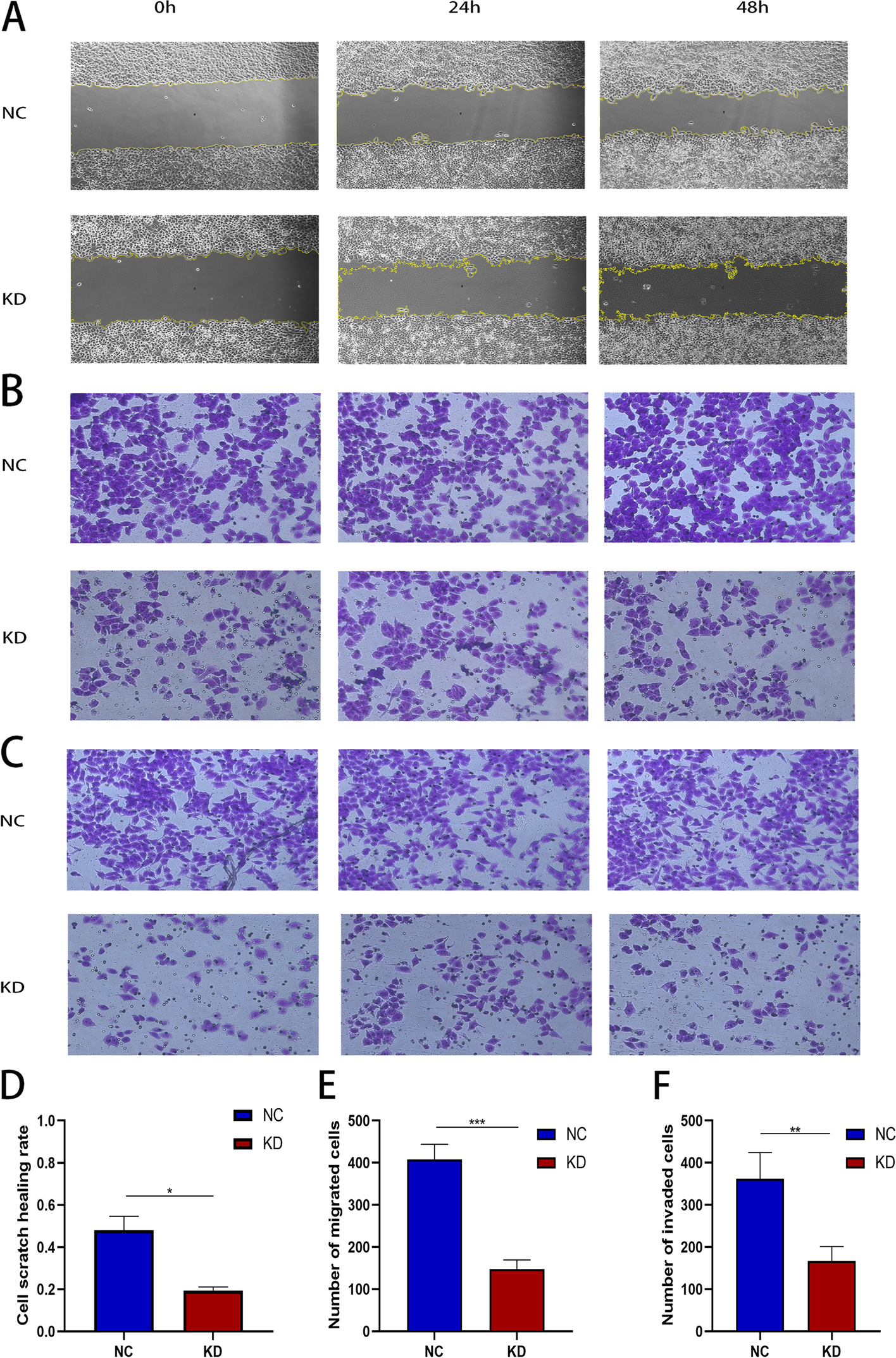
Fig. 4
From: TCP1 regulates PI3K/AKT/mTOR signaling pathway to promote proliferation of ovarian cancer cells

Suppression of EOC cell migration and invasion ability by TCP1 silencing. A and D TCP1 knockdown in A2780 cell line inhibited cell migration, as revealed by a wound healing assay. B and E Transwell assays revealed that shRNA-TCP1 knockdown decreased the migration of A2780 cells. C and F TCP1 knockdown remarkably attenuated the invasion ability of A2780 cells. Data are presented as the mean ± SD of three independent experiments. P-values were obtained with the independent Student’s t-test. *P < 0.05 vs. the NC; **P < 0.01 vs. the NC; ***P < 0.001 vs. the NC. Magnification: 200 ×